Program Description

The Department of Mobility and Infrastructure is installing transit shelters for our 2025 Transit Stop Improvement Program. The Transit Stop Improvement Program will only include locations in which additional sidewalk infrastructure, either a pad or bump out, would provide the necessary space to install a bus shelter.

If you have general questions about the program, let us know! To request a new bus shelter, please contact 311.

Location Selection Factors

High Ridership

  • Transfer Points
  • Locations served by multiple routes

Topography

  • Stops restricted by the surrounding development and/or lying close to the road which may subject riders to flying dirt, debris and water from passing traffic

Weather

  • Stops in exposed locations where riders are subject to high winds and inclement weather

Community Amenities

  • Stops in locations close to points of interest, such as grocery stores, libraries, hospitals, etc.
  • Stops with a demonstrated desire for upgraded transit amenities, including DIY and makeshift benches

Improvement Types

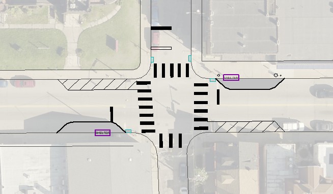
The Transit Stop Improvement Program will include both sidewalk pad replacements and the creation of new bump-outs.

Sidewalk Pad Replacement – Small expansion and/or replacement of existing sidewalk that would not require any permanent parking removal.

Bump-outsLarger sidewalk extensions that extend into the curb lane to create more sidewalk space and increase passenger and pedestrian safety.

Additional upgrades, such as repainted crosswalks or new trash cans, may also be included with the installation of a pad or bump out.

Proposed Locations