Project Description
This complex intersection at Liberty Avenue, Main Street, and the Bloomfield Bridge acts as a gateway to the Bloomfield neighborhood. The City of Pittsburgh was awarded funds from the PennDOT Multimodal Transportation Fund to improve safety and efficiency for all transportation modes at the intersection.
Location
Data Collection
Turning Movement Counts
Peak period multimodal turning movement counts (TMCs) were collected at six signalized study intersections in March 2024. Detailed traffic counts are provided in Attachment A. The network peak hours were determined to be 7:30AM – 8:30AM and 4:45PM – 5:45PM.
Future Year (2044) AM and PM peak hour volumes were estimated using a growth rate provided by the Southwest Pennsylvania Commission (SPC). SPC estimated the average growth rate to be 0.30% per year for the Bloomfield Neighborhood, shown in Figure 3. This amounts to a total increase of 6% over the 20-year horizon.

Streetlight Origin-Destination
Streetlight Data is a Big Data source which gathers data from smart phones and navigation devices and combines this data with other sources such as parcel data and road network data to analyze travel patterns. Streetlight was used to identify local network origins and destinations for trips through the study intersection for all vehicles and trucks specifically. In this analysis Streetlight defines trucks by weight and includes medium-duty [14,000 - 26,000 lbs (Class 4 - Class 6)] and heavy-duty [26,000+ lbs (Class 7+)].
Takeaways include:
Bus Ridership
There are several Pittsburgh Regional Transit (PRT) routes that travel through the study area including routes 54, 86, 87 and 94, shown on Figure 8. Boardings and alightings were collected from the PRT Bus Stop Geo Data Tool for October 2023. The two stops on Liberty Avenue at Ella Street and the two stops on Main Street at Howley Street have the highest activity with over 50 daily boardings or alightings at each stop. The stops on Liberty Avenue are fairly balanced with boardings and alightings at each stop. The southbound stop on Main Street at Howley Street has higher boardings and the northbound stop Main Street at Howley Street has higher alightings. The eastbound stop on Liberty Avenue approaching the Bridge includes a shelter. The stops on Liberty Avenue at Ella Street also serve as bus stops for Pittsburgh Public Schools.
Crash Summary
Crash data is susceptible to under reporting of non-motor vehicle crashes and near misses. For this reason, crash data should be viewed holistically in combination with other indicators of road safety, such as the lived experiences of users of the corridor and field observations in the study area.
Using data from the Pennsylvania Crash Information Tool, crashes reported on Liberty Avenue from Canoe Way to Ella Street and the Bloomfield Bridge to Main Street within a five-year window (2018-2022) were selected for analysis. There was a total of 31 reported crashes in the study area from 2018-2022. There were five crashes with pedestrians or bicyclists, all of which resulted in injury. These crashes were also all on Liberty Avenue approaching the intersection. With the slip ramps, split phasing, and protected left-turns, there are relatively low conflicts between pedestrians and drivers in the crosswalks.
It should be noted that this does not indicate comfortable crossings for pedestrians with the existing intersection configuration. The majority of crashes at the main intersection were angle or head on and property damage only, while the majority of crashes on the Bloomfield Bridge were rear end and property damage only.
Needs Assessment
Based on the data collection, project site conditions, crash history, and field observations described above, the following areas for improvement and goals for the intersection were identified:
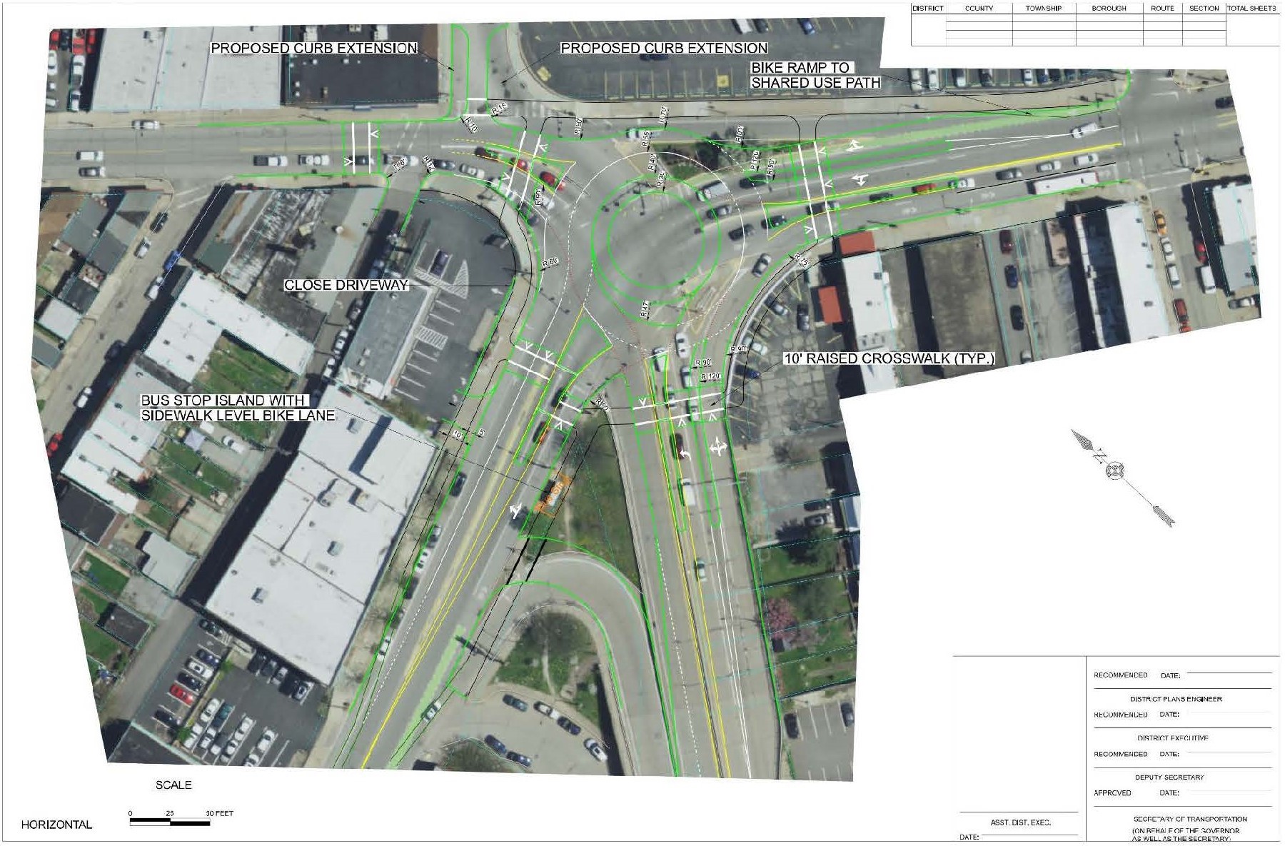
Concept Designs
Updated Signalized Intersection Concept Design
Draft Roundabout Alternative Concept Design